台风“玉兔”往北走?福建省防指进一步部署防御工作
台风“玉兔”往北走?福建省防指进一步部署防御工作

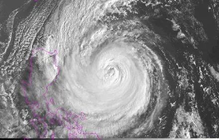
来看今年第26号台风“玉兔”的最新消息!
今天下午2点,“玉兔”位于距离菲律宾马尼拉东偏北方向约530公里的洋面上,最大风力15级,属于强台风。
预测的路径图是这样的,“勺子”形走势:

这,是要绕了一圈向着台湾海峡来了?!
中央气象台预测,“玉兔”穿过菲律宾吕宋岛北部于30日下午到夜间进入南海东部海域,逐渐转向偏北方向移动,移速减慢,之后强度开始明显减弱。

根据中央气象台此前的预测,“玉兔”真是“狡兔三窟”,走势有三种可能性:
●冷空气南下削弱副高,在冷空气的帮助下,“玉兔”经过台湾海峡转而北上;
●副高强度维持不变,“玉兔”路径继续保持西行,登陆我国华南;
●冷空气破坏了副高对台风的控制,导致“玉兔”在海上打转并持续减弱,在后续补充冷空气的影响下向南转向或是在海上消散。

现在看来,“玉兔”会往北走。但未来的最终走势和强度,还真是很难说得准。
10月29日上午,福建省防指再次召集气象、海洋、海事等部门会商26号台风“玉兔”发展趋势,并召开沿海“六市一区”防台风视频会议。会议传达了省委、省政府防台风工作要求和省领导批示精神,并进一步部署“玉兔”台风防御工作。

会议要求,各地各有关部门要坚决克服麻痹思想,加强会商研判,果断响应部署,切实做好“玉兔”台风的防御工作。

●沿海各市、县(区)防汛部门务必按省防指要求恢复24小时应急值班,各类防汛责任人要迅速上岗到位、尽职尽责,逐项落实好省防指的防御指令。
●位于闽中渔场、闽南渔场和台湾浅滩渔场的所有海上作业渔船,务必于10月29日18时之前全部就近到港避风。
●在福州及以南沿海养殖渔排上的老弱妇幼人员,务必于10月30日18时之前全部撤离上岸。
●海事部门要加密发布警示信息,加强海上航行管控调度,指导过往船舶及时调整航线,避开台风影响区域,确保航行安全。
●福州及以南沿海地区要根据台风动态、风浪情况和应急预案,及时对沿海客渡船、滨海景区景点和施工工地、离岸旅游活动等采取关闭关停措施。

福建省气象台预报:
●30日(周二),受低层东北气流影响,全省多云为主。
●31日(周三),受台风“玉兔”外围影响,中南部沿海湿度增大,部分有阵雨。
●1日(周四),台风“玉兔”进一步靠近,受其外围影响,我省中南部有阵雨。
福建省气象台提醒,未来一周沿海风力持续较大。要去海边的朋友,要多加小心。
一起来看看,未来一周福建各地的天气预报:
福州

厦门

泉州

宁德

三明

龙岩

莆田

漳州

南平

平潭

希望台风不要来
“玉兔”
你快快降低强度吧!
-
- 世界分国地形图高清版,地理爱好者终极福利,建议收藏
-
2025-09-26 16:45:59
-
- 终于知道为什么孩子不愿意回家了?网友:我就像捡来的一样。
-
2025-09-26 16:43:44
-
- 赵云的引擎之心 王者荣耀里程碑的皮肤 上线首日流水1.5亿
-
2025-09-26 16:41:29
-
- 西游记第六十三回:九头虫逞凶碧波潭,孙悟空师兄弟奋起激战
-
2025-09-26 16:39:14
-
- 仚屳氽汆怎么读音(氽和汆的区别在哪儿)
-
2025-09-26 09:15:23
-
- 宁夏银川市开展为期一个月公共安全隐患排查整治专项行动
-
2025-09-26 09:13:08
-
- 冷知识科普:PC是什么意思?
-
2025-09-26 09:10:53
-
- 英特尔宣布裁员 1.5 万人,CEO 基辛格:令人痛苦、非常艰难
-
2025-09-26 09:08:38
-
- 苹果手机爆炸声音频起!iPhone 16系列电池拆解:确实更好拆了
-
2025-09-26 09:06:24
-
- 河粉放冰箱5天能吃吗
-
2025-09-26 09:04:09
-
- 最新预测!这一疾病,患者或达 13 亿人!
-
2025-09-26 09:01:54
-
- 油可以放冰箱吗
-
2025-09-26 08:59:39
-
- 红酒放冰箱里可以保存多长时间
-
2025-09-26 08:57:24
-
- 青海特产
-
2025-09-26 08:55:09
-
- 突发,这一火山剧烈喷发!
-
2025-09-26 08:52:54
-
- 达沃市及怡郎市为菲律宾最安全城市之一
-
2025-09-26 08:50:39
-
- 出家需要具备哪些条件
-
2025-09-26 08:48:24
-
- 学生忘戴红领巾被校长掐脖追打?当地教育局:已介入调查
-
2025-09-26 08:46:09
-
- 江西水果特产
-
2025-09-26 08:43:54
-
- 云南特产有哪些土特产
-
2025-09-26 08:41:40



15本男主占有欲强的宠文小说推荐,《深渊女神》一生推
武汉17中上演教室门(武汉十七中教室门事件图)